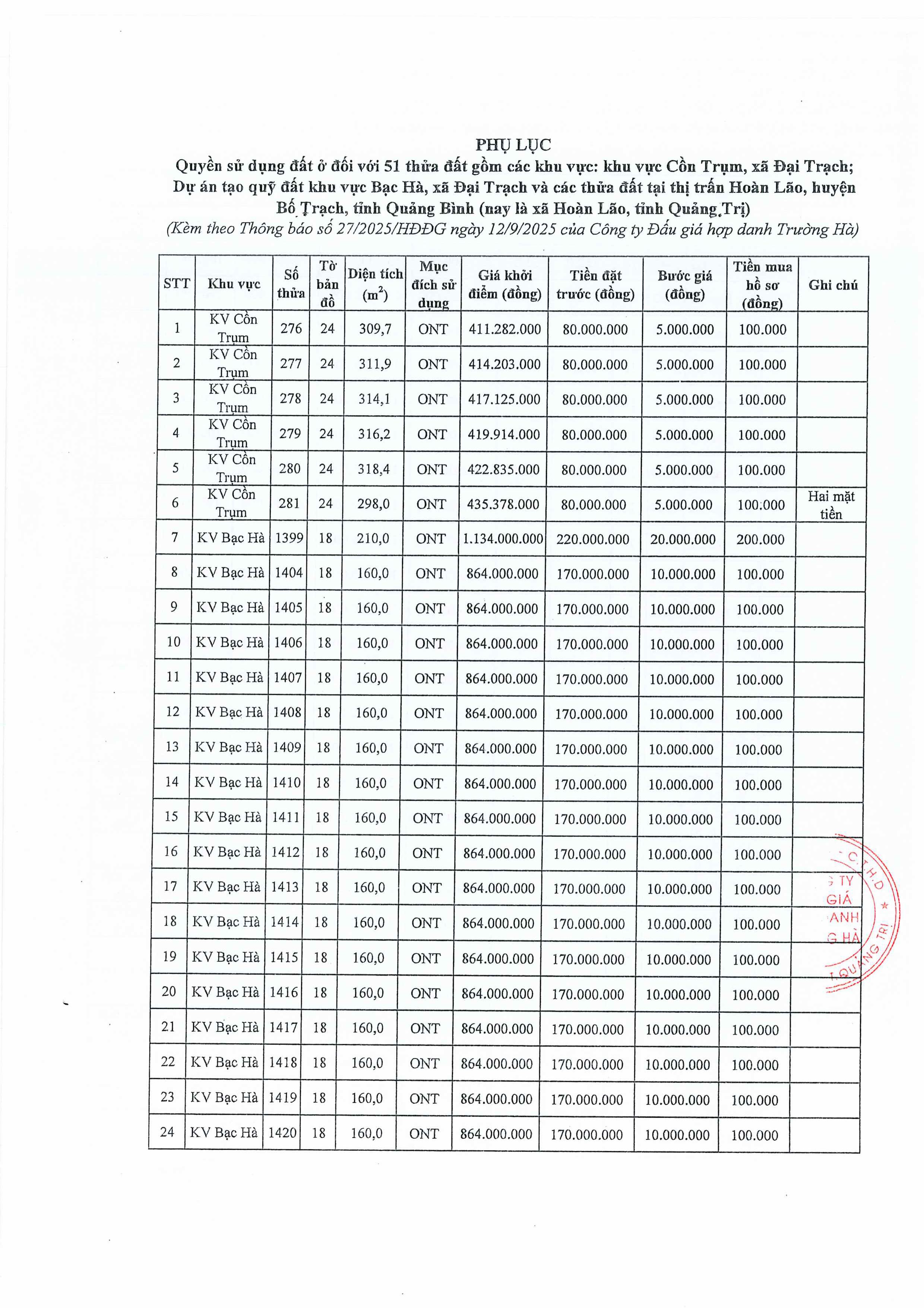
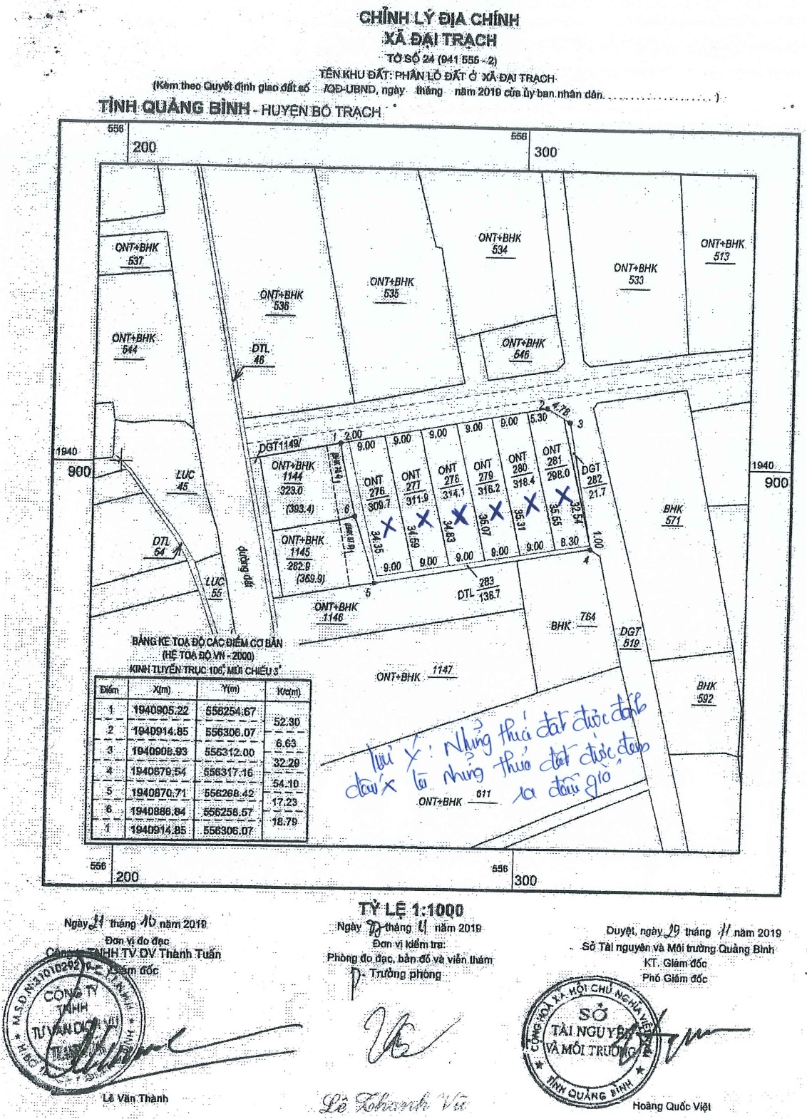
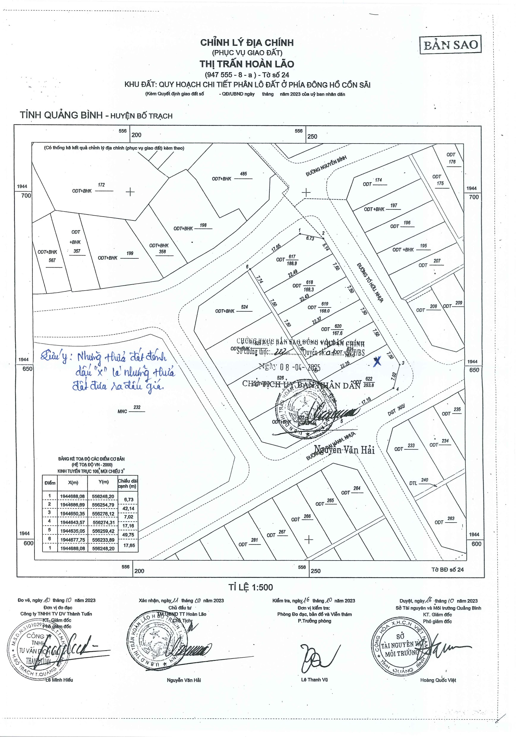
THÔNG BÁO ĐẤU GIÁ QUYỀN SỬ DỤNG ĐẤT ĐỐI VỚI THỬA ĐẤT TẠI XÃ HOÀN LÃO, TỈNH QUẢNG TRỊ
Bán hồ sơ và tiếp nhận hồ sơ tham gia đấu giá:
- Thời gian: từ 07 giờ 30 phút ngày 12/9/2025 đến 16 giờ 30 phút ngày 29/9/2025.
- Địa điểm: tại trụ sở Công ty Đấu giá hợp danh Trường Hà, địa chỉ: số 52 Mai Thúc Loan, phường Đồng Hới, tỉnh Quảng Trị
- Ngoài ra để tạo điều kiện thuận lợi cho người dân, Công ty sẽ tổ chức bán và tiếp nhận hồ sơ đăng ký tham gia đấu giá tại trụ sở Ban Quản lý dự án Đầu tư xây dựng và Phát triển quỹ đất Bố Trạch, địa chỉ: xã Hoàn Lão, tỉnh Quảng Trị, trong thời hạn 03 ngày làm việc liên tục từ ngày 25/9/2025 đến ngày 29/9/2025.
Thu tiền đặt trước:
Liên tục từ 07 giờ 30 phút ngày 12/9/2025 đến 16 giờ 30 phút ngày 29/9/2025 vào tài khoản của Công ty Đấu giá hợp danh Trường Hà:
- Tài khoản số: 299555999, mở tại Ngân hàng TMCP Quân Đội (MBbank).
- Tài khoản số: 0311000735986, mở tại Ngân hàng TMCP Ngoại thương Việt Nam (Vietcombank).
Số tiền đặt trước phải báo có trong tài khoản số 299555999 hoặc 0311000735986 trước 16 giờ 30 phút ngày 29/9/2025 nếu báo có sau 16 giờ 30 phút ngày 29/9/2025 sẽ không được ghi nhận, hồ sơ đó không hợp lệ, không đủ điều kiện tham gia đấu giá.
Tổ chức phiên đấu giá:
- Thời gian: Vào lúc 08 giờ 30 phút ngày 02/10/2025.
- Địa điểm: Tại hội trường trụ sở Ban quản lý dự án Đầu tư xây dựng và Phát triển quỹ đất Bố Trạch. Địa chỉ: đường Nguyễn Tất Thành, tiểu khu 3, xã Hoàn Lão, tỉnh Quảng Trị.
Mọi chi tiết xin liên hệ:
CÔNG TY ĐẤU GIÁ HỢP DANH TRƯỜNG HÀ
- Địa chỉ: Số 52 Mai Thúc Loan, phường Đồng Hới, tỉnh Quảng Trị
- SĐT: (0232) 3896 333; Ms Hà: 0826 828 235











