• 0232. 3827333 - 0232. 3896 333
  • daugiatruongha@gmail.com
daugiatruongha.vndaugiatruongha.vndaugiatruongha.vn
  • Trang chủ
  • Giới thiệu
    • Thư ngỏ
    • Hồ sơ năng lực
  • Thông báo đấu giá
    • Bất động sản
    • Động sản
    • Ô tô - Xe máy
  • Hướng dẫn thủ tục
    • Quy chế đấu giá
    • Quy trình bán đấu giá
    • Thủ tục bán đấu giá
  • Liên hệ

Thông báo đấu giá

  • Bất động sản
  • Động sản
  • Ôtô - Xe máy
Bất động sản
04 Tháng 12 2025
Lượt xem: 8

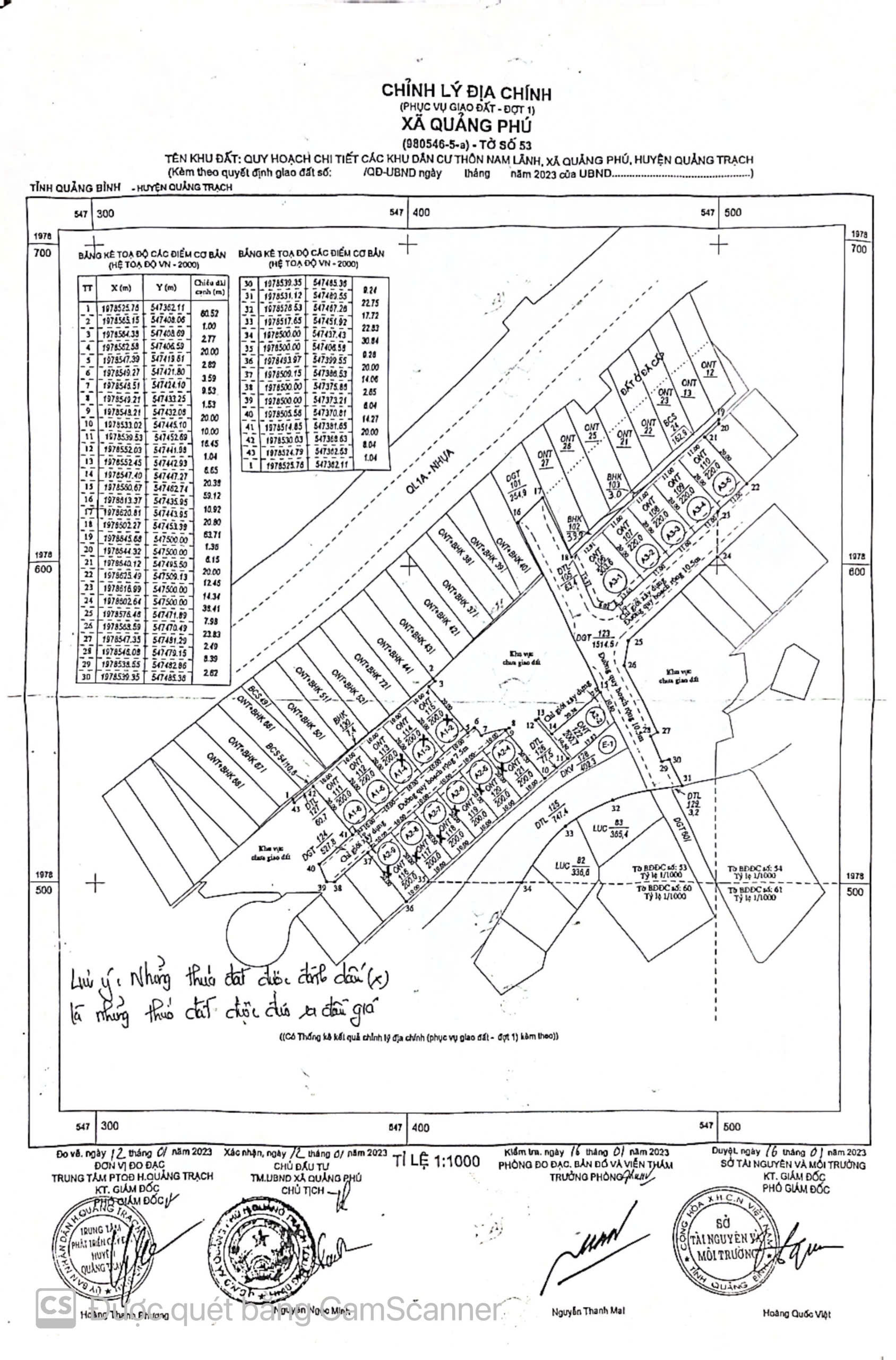
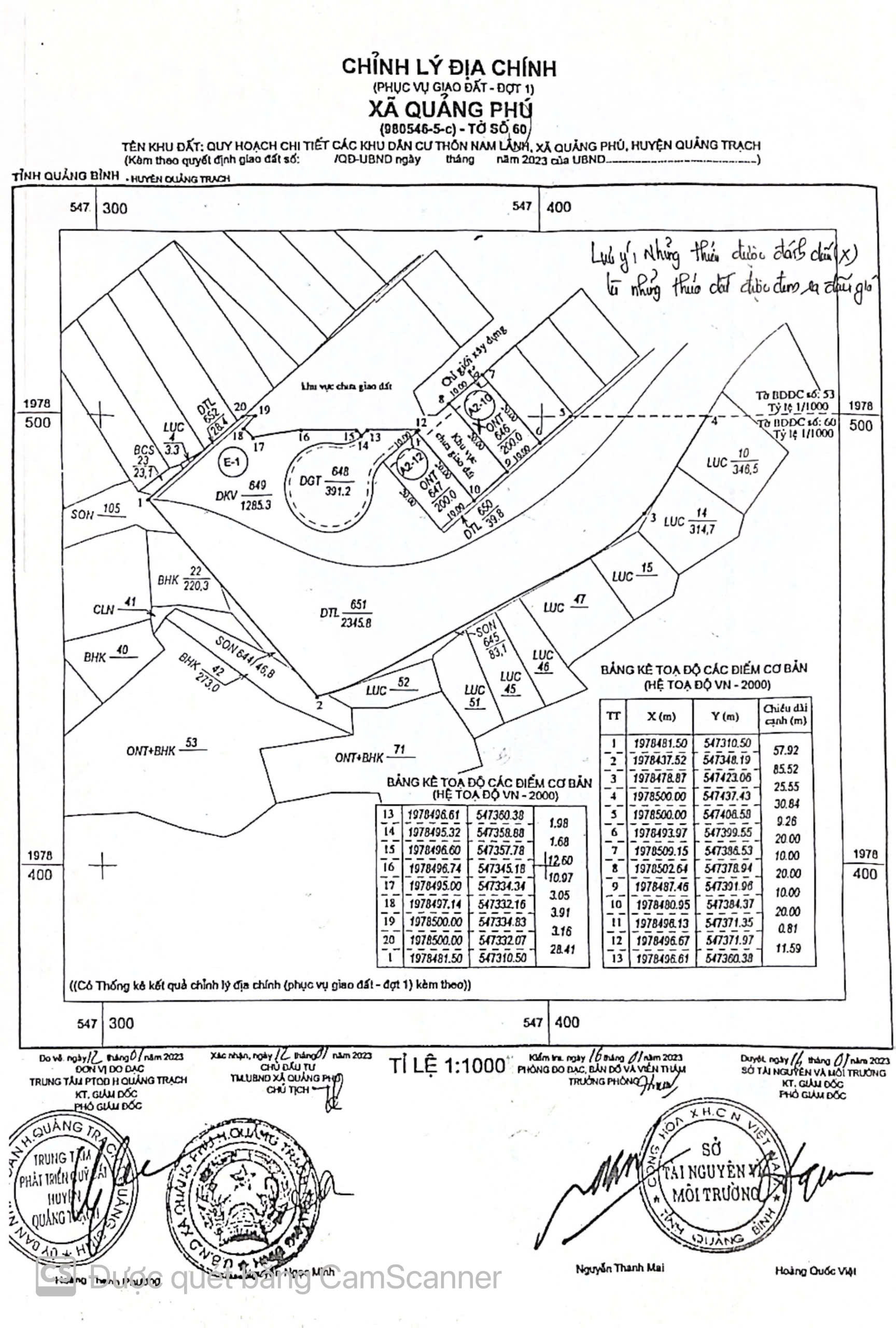
THÔNG BÁO ĐẤU GIÁ QUYỀN SỬ DỤNG ĐẤT ĐỐI VỚI 25 THỬA ĐẤT Ở TẠI DỰ ÁN HẠ TẦNG KỸ THUẬT QUY HOẠCH KHU DÂN CƯ THÔN NAM LÃNH, XÃ QUẢNG PHÚ, HUYỆN QUẢNG TRẠCH, TỈNH QUẢNG BÌNH (NAY LÀ XÃ PHÚ TRẠCH, TỈNH QUẢNG TRỊ)

THÔNG BÁO ĐẤU GIÁ QUYỀN SỬ DỤNG ĐẤT ĐỐI VỚI 25 THỬA ĐẤT Ở TẠI DỰ ÁN HẠ TẦNG KỸ THUẬT QUY HOẠCH KHU DÂN CƯ THÔN NAM LÃNH, XÃ QUẢNG PHÚ, HUYỆN QUẢNG TRẠCH, TỈNH QUẢNG BÌNH (NAY LÀ XÃ PHÚ TRẠCH, TỈNH QUẢNG TRỊ).

⏰ Bán hồ sơ và tiếp nhận hồ sơ tham gia đấu giá: Từ 07 giờ 30 phút ngày 02/12/2025 đến 16 giờ 30 phút ngày 16/12/2025.

? Địa điểm:
- Tại trụ sở Công ty Đấu giá hợp danh Trường Hà, địa chỉ: số 52 Mai Thúc Loan, phường Đồng Hới, tỉnh Quảng Trị.

- Tại trụ sở UBND xã Phú Trạch, tỉnh Quảng Trị, địa chỉ: xã Phú Trạch, tỉnh Quảng Trị, trong thời hạn 03 ngày làm việc liên tục từ ngày 12/12/2025 đến 16/12/2025.

? Để biết thêm chi tiết xin liên hệ Công ty theo số điện thoại: (0232)3896333, Mr.Phước: 0906.498.789.

Thông báo Phụ lục hình ảnh 0

Thông báo Phụ lục hình ảnh 1

 

Thông báo Phụ lục hình ảnh 2

53

60

 

z7291982102357 80cc1e9335dee21d5fb54b7608d79d78

  • Trang trước
  • Trang sau
Design by:congtyf5.com
  • Trang chủ
  • Giới thiệu
    • Thư ngỏ
    • Hồ sơ năng lực
  • Thông báo đấu giá
    • Bất động sản
    • Động sản
    • Ô tô - Xe máy
  • Hướng dẫn thủ tục
    • Quy chế đấu giá
    • Quy trình bán đấu giá
    • Thủ tục bán đấu giá
  • Liên hệ