• 0232. 3827333 - 0232. 3896 333
  • daugiatruongha@gmail.com
daugiatruongha.vndaugiatruongha.vndaugiatruongha.vn
  • Trang chủ
  • Giới thiệu
    • Thư ngỏ
    • Hồ sơ năng lực
  • Thông báo đấu giá
    • Bất động sản
    • Động sản
    • Ô tô - Xe máy
  • Hướng dẫn thủ tục
    • Quy chế đấu giá
    • Quy trình bán đấu giá
    • Thủ tục bán đấu giá
  • Liên hệ

Thông báo đấu giá

  • Bất động sản
  • Động sản
  • Ôtô - Xe máy
Bất động sản
29 Tháng 9 2025
Lượt xem: 233

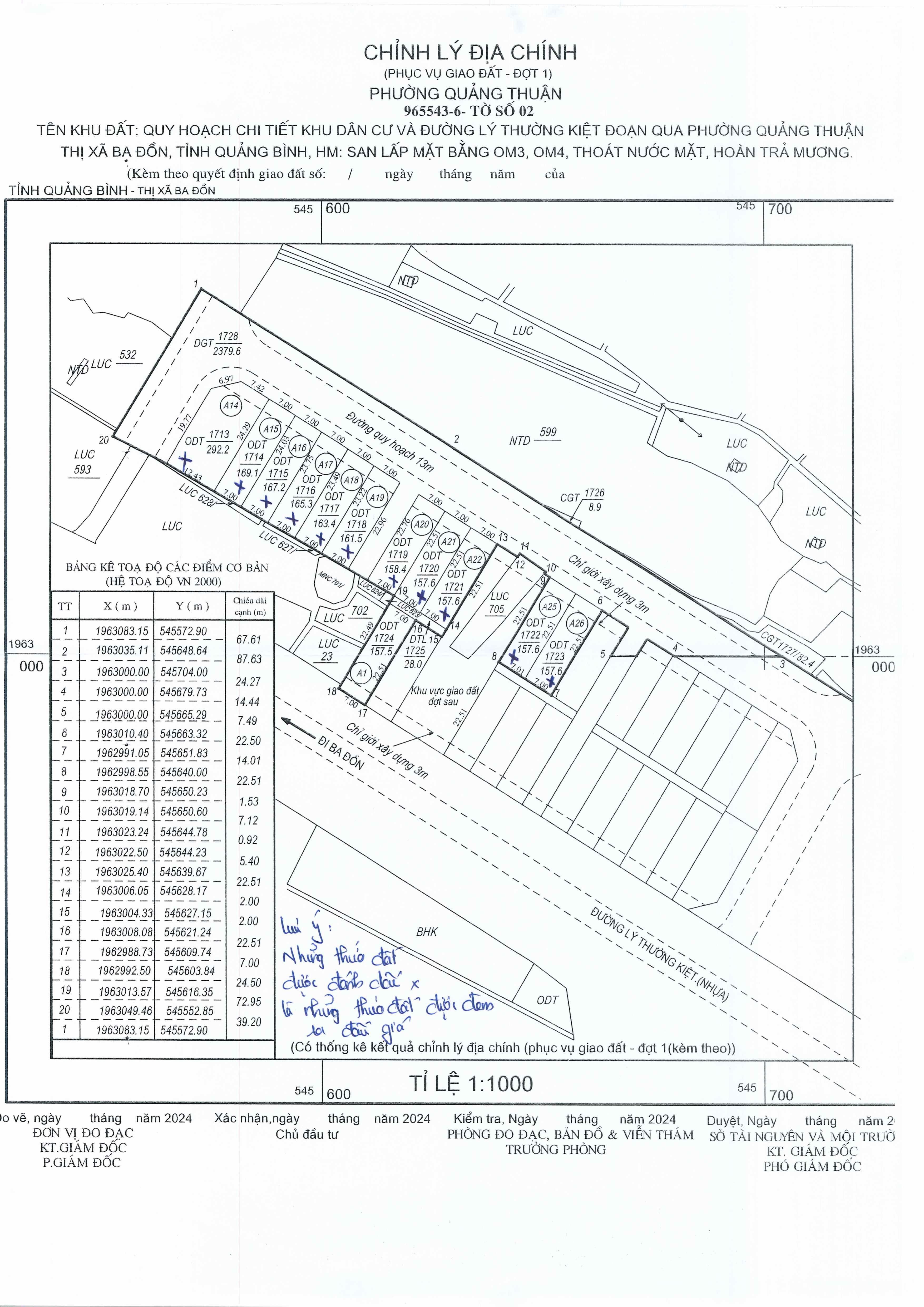
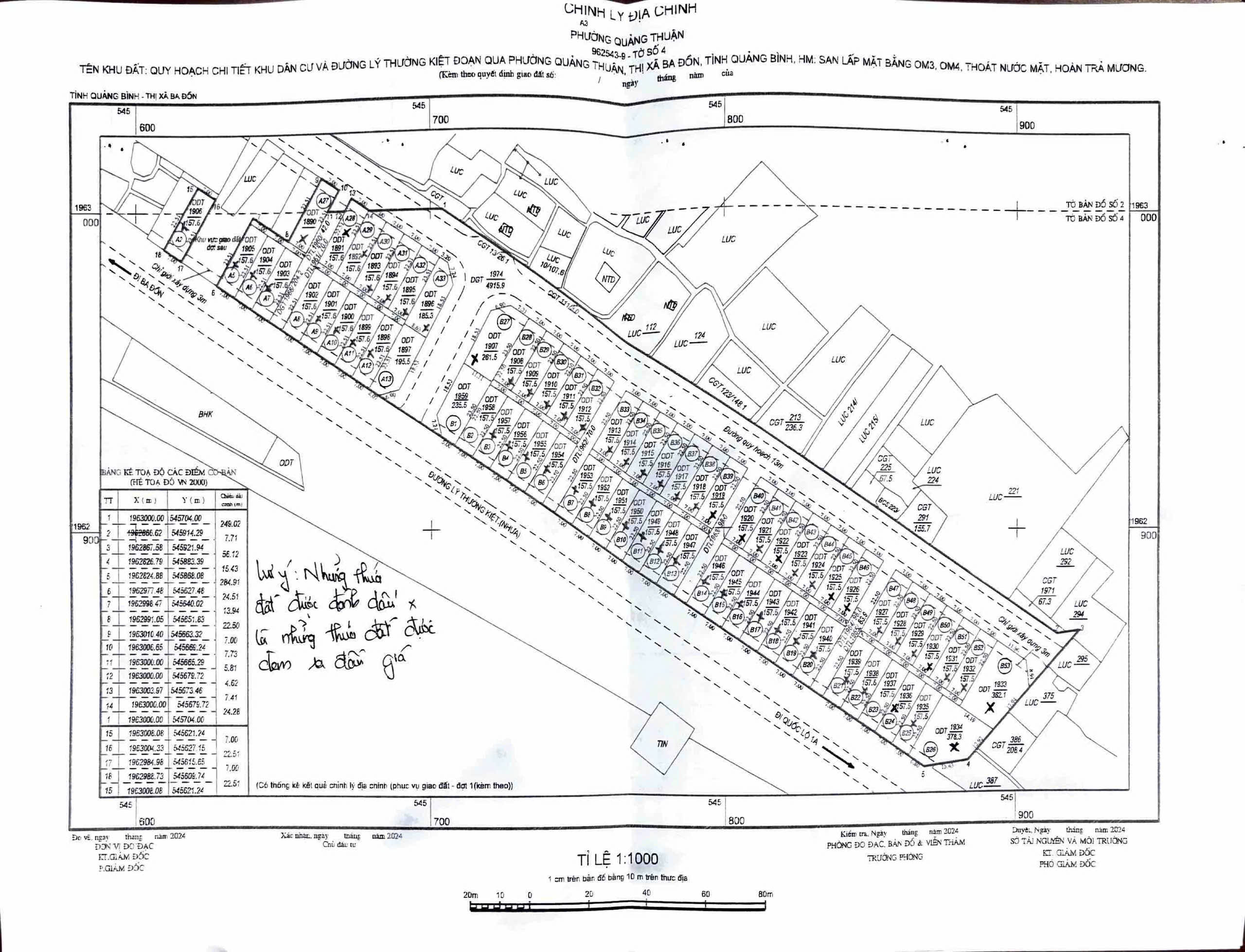
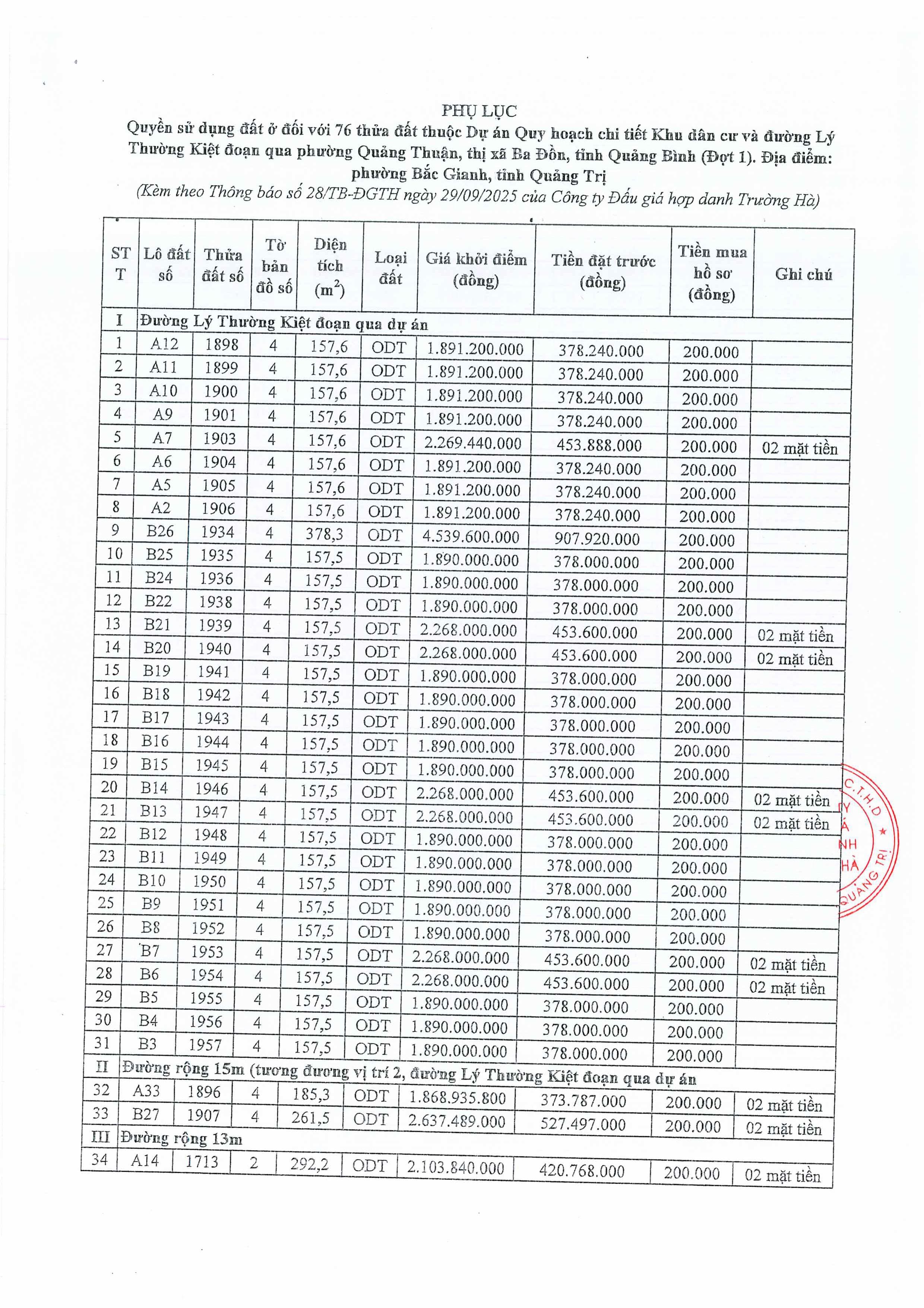
Thông báo đấu giá quyền sử dụng đất đối với 76 thửa đất thuộc dự án Quy hoạch chi tiết Khu dân cư và đường Lý Thường Kiệt đoạn qua phường Quảng Thuận, thị xã Ba Đồn, tỉnh Quảng Bình (Đợt 1) (nay là phường Bắc Gianh, tỉnh Quảng Trị)

? THÔNG BÁO ĐẤU GIÁ QUYỀN SỬ DỤNG ĐẤT ĐỐI VỚI 76 THỬA ĐẤT THUỘC DỰ ÁN QUY HOẠCH CHI TIẾT KHU DÂN CƯ VÀ ĐƯỜNG LÝ THƯỜNG KIỆT ĐOẠN QUA PHƯỜNG QUẢNG THUẬN, THỊ XÃ BA ĐỒN, TỈNH QUẢNG BÌNH (ĐỢT 1) (NAY LÀ PHƯỜNG BẮC GIANH, TỈNH QUẢNG TRỊ)

 

? Bán hồ sơ và tiếp nhận hồ sơ tham gia đấu giá:

- Thời gian: từ 07 giờ 30 phút ngày 29/9/2025 đến 16 giờ 30 phút ngày 15/10/2025.

- Địa điểm:
+ Tại trụ sở Công ty Đấu giá hợp danh Trường Hà, địa chỉ: số 52 Mai Thúc Loan, phường Đồng Hới, tỉnh Quảng Trị.
+ Tại trụ sở UBND phường Bắc Gianh, địa chỉ: số 229 Trần Hưng Đạo, phường Bắc Gianh, tỉnh Quảng Trị.

? Thu tiền đặt trước:

Liên tục từ 07 giờ 30 phút ngày 29/9/2025 đến 16 giờ 30 phút ngày 15/10/2025 vào tài khoản của Công ty Đấu giá hợp danh Trường Hà:

- Tài khoản số: 299555999, mở tại Ngân hàng TMCP Quân Đội (MBbank).

Số tiền đặt trước phải báo có trong tài khoản số 299555999 trước 16 giờ 30 phút ngày 15/10/2025 nếu báo có sau 16 giờ 30 phút ngày 15/10/2025 sẽ không được ghi nhận, hồ sơ đó không hợp lệ, không đủ điều kiện tham gia đấu giá.

 

? Tổ chức phiên đấu giá:

- Thời gian: Vào lúc 08 giờ 30 phút ngày 18/10/2025.

- Địa điểm: Tại hội trường trụ sở Đảng ủy phường Bắc Gianh, địa chỉ: số 17 Võ Thị Sáu, TDP Me Hội, phường Bắc Gianh, tỉnh Quảng Trị.

 

Mọi chi tiết xin liên hệ:

CÔNG TY ĐẤU GIÁ HỢP DANH TRƯỜNG HÀ

- Địa chỉ:  Số 52 Mai Thúc Loan, phường Đồng Hới, tỉnh Quảng Trị

- SĐT: (0232) 3896 333; Ms Hà: 0826 828 235

 

thông báo Phụ lục trang hình ảnh 0

thông báo Phụ lục trang hình ảnh 1

thông báo Phụ lục trang hình ảnh 2

thông báo Phụ lục trang hình ảnh 3

2

z7056081681385 92c2b9c0355f98f1eded0e77c9ef8d59

  • Trang trước
  • Trang sau
Design by:congtyf5.com
  • Trang chủ
  • Giới thiệu
    • Thư ngỏ
    • Hồ sơ năng lực
  • Thông báo đấu giá
    • Bất động sản
    • Động sản
    • Ô tô - Xe máy
  • Hướng dẫn thủ tục
    • Quy chế đấu giá
    • Quy trình bán đấu giá
    • Thủ tục bán đấu giá
  • Liên hệ